Breaking |

Breaking |

What is Hurricane Beryl? Know About Category 4 Storm Threatening Windward Islands
Published : Jul 1, 2024, 1:10 pm IST
Updated : Jul 1, 2024, 1:10 pm IST
SHARE ARTICLE
What is Hurricane Beryl? Know About Category 4 Storm Threatening Windward Islands
What is Hurricane Beryl? Know About Category 4 Storm Threatening Windward Islands

Unprecedented June hurricane intensifies rapidly, prompting urgent preparations across the southeastern Caribbean.

What is Hurricane Beryl? Hurricane Beryl refers to several tropical cyclones in the Atlantic Ocean that have been named Beryl. The most notable one was Hurricane Beryl in July 2018, which was the first hurricane of the 2018 Atlantic hurricane season. Despite being a small and relatively short-lived storm, it was notable for reaching hurricane strength in early July, which is somewhat unusual. Beryl weakened to a tropical storm before affecting the Lesser Antilles with rain and gusty winds. Other instances of storms named Beryl occurred in different years, each varying in intensity and impact.

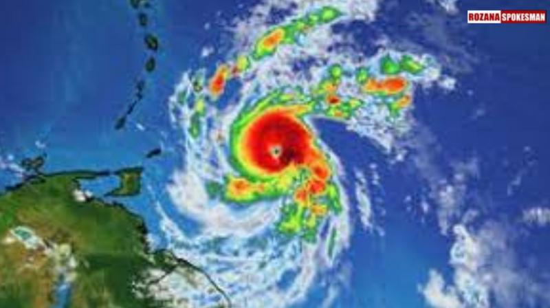
Hurricane Beryl, rapidly intensifying into a Category 4 storm, poses an immediate threat to the Windward Islands in the southeastern Caribbean. It currently boasts sustained winds of 130 mph and is moving westward at 20 mph, making it a formidable force expected to bring severe winds and potentially devastating storm surges. Hurricane warnings have been issued for Barbados, St. Lucia, Grenada, St. Vincent and the Grenadines, and Tobago, urging residents to take urgent precautions.

Advertisement

This early-season hurricane's swift strengthening is unprecedented for June, marking a historic event in Atlantic hurricane history. Such rapid intensification is rare, highlighting the unpredictability and severity of Beryl's impact. Unusually warm ocean temperatures, the highest on record for this time of year, are providing the energy needed for its rapid development.

Preparations are underway across the region, with long lines forming at gas stations and grocery stores as people gather essential supplies. Government leaders, including Barbados' Prime Minister Mia Mottley and St. Vincent and the Grenadines' Prime Minister Ralph Gonsalves, have issued stark warnings, emphasizing the potential for devastating consequences. Shelters are opening, emergency services are on high alert, and contingency plans are being activated to minimize the storm's impact on vulnerable communities.

The National Hurricane Center underscores the seriousness of the situation, specifically citing the potential for storm surges reaching up to 9 feet in some areas and significant rainfall of up to 6 inches. As Beryl continues its westward path through the Caribbean, concerns persist about its trajectory and the potential impact on nearby islands and coastal areas.

Advertisement

With the hurricane season just beginning, Beryl's unexpected power serves as a stark reminder of the variability of tropical weather systems and the critical need for proactive disaster preparedness in regions at risk.

(For more news apart from What is Hurricane Beryl? stay tuned to Rozana Spokesman)

Advertisement

SHARE ARTICLE

ROZANA SPOKESMAN

Advertisement

Heartfelt Moments with Students at Sri Guru Gobind Singh Khalsa College |Songs, Poetry &Youth Talent

07 Mar 2026 8:20 PM

Iran Targets US THAAD Defense Systems | America Warns of Major Strike Tonight

07 Mar 2026 8:16 PM

Ravneet Bittu Speaks on Punjab Law & Order Crisis

06 Mar 2026 6:24 PM

“Amid the war between Iran and Israel, people in Bathinda have started storing petrol and diesel

06 Mar 2026 6:22 PM

Punjab Sarpanch Shot Dead Outside Gym In Moga,  Happy Sarpanch 

06 Mar 2026 6:20 PM

Social Media Influencer Nancy Grewal murdered in Canada

05 Mar 2026 11:53 AM
Advertisement