if($page!="epaper"){ ?> }/*if not epaper*/?>
Today's e-paper
Breaking |
Punjab CM Bhagwant Mann met gave Rs 1 crore compensation, a job to Shubhkaran Singh's Kin Delhi court takes cognisance of ED's chargesheet against Arvind Kejriwal, AAP 7 underage children missing in Derabassi Threat to BJP leaders Manjinder Sirsa, Tejinder Singh Saran , Parminder Brar and Srinivasulu Chandigarh leader Pardeep Chhabra Dies Pakistani terrorists involved in Jammu and Kashmir attack, threw grenades at Army trucks Pinjore Bus Accident Left 50 People, Including 40 students, Injured Terrible incident in Punjab: Woman, breastfeeding her child, was shot dead in broad daylight 4 dead in Batala Firing Today, Two groups open fire at each others due to old rivalry Kanchanjunga Express Train Accident: PM Modi announces ex-gratia to families of those who died Punjab Schools To Remain Closed From May 21 In View of Prevailing Heatwave LPG Cylinder Price Hike: Rates of commercial cylinders increased by Rs 25 today Farmers Protest: Punjab Govt to Give Rs 1 Cr to Shubkaran Singh's Family, Govt Job to His Sister No fuel to be available at petrol pumps on 16th Feb from 6 am to 4 pm; and on 22 Feb Rail Roko in Punjab: Farmers block railway tracks for 4 hours Electoral bonds scheme is unconstitutional, says Supreme Court Jalandhar Commissionerate Police nab eight gangsters of Lawrence Bishnoi gang Government enhances target to help 30 mn women become ‘Lakhpati Didis’, says Finance Minister This budget is a reflection of young aspirations of young India, says PM Narendra Modi Deadline for 'One Vehicle One FASTag' initiative & completing KYC updation extended till Feb 29. Bihar CM Nitish Kumar says he will remain in NDA ‘forever’ now Reports Related to Rahul Gandhi's car 'pelted with stones' are Baseless, Claims Supriya Shrinate Chandigarh Mayor Row: Reports Regarding CM Bhagwant Mann and Arvind Kejriwal to Protest is FAKE! Punjab Floods News LIVE: Weather Gives Relief Amid Ongoing Floods, Rescue Op Underway Pakistan violates ceasefire again, BSF given free hand to retaliate Punjab Lok Sabha Elections 2024 Highlights: Polling concludes! 58.34pc Voter Turnout Till 5 PM Bigg Boss 17 Finale Highlights: Munawar Faruqui is Winner, Abhishek Kumar runner-up Ram Mandir Pran Pratishtha: Indians celebrate 'Diwali' as Ram Temple inaugurated Chandigarh mayor election 2024: Polling postponed; AAP, Congress councillors stage protest Article 370 verdict HIGHLIGHTS: SC upholds validity of Presidential order abrogating Article 370 Technical Glitch Delays Canadian PM Trudeau's Departure from India; Delegation Awaits Plane Repair PM Modi Advocates International Organization Reforms at G-20 Summit in Delhi 6.8-Magnitude Earthquake Strikes Morocco, Death Toll Reaches 630 Delight in Spanish Salads: A Flavorful and Healthy Meal Option to Try Watch: Street Food Vendor Prepares Dosa in an Artistic Manner, Video goes Viral
Chinese SpaceX's Tianglong-3 Rocket Crashes During Test, No Injuries Reported
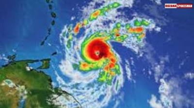
What is Hurricane Beryl? Know About Category 4 Storm Threatening Windward Islands
2026-03-07 16:01:52
2026-03-07 13:52:25
Heartfelt Moments with Students at Sri Guru Gobind Singh Khalsa College |Songs, Poetry &Youth Talent
Iran Targets US THAAD Defense Systems | America Warns of Major Strike Tonight
Ravneet Bittu Speaks on Punjab Law & Order Crisis
“Amid the war between Iran and Israel, people in Bathinda have started storing petrol and diesel
Punjab Sarpanch Shot Dead Outside Gym In Moga, Happy Sarpanch
Social Media Influencer Nancy Grewal murdered in Canada
More Videos
© 2017 - 2026 Rozana Spokesman
Developed & Maintained By Daksham